Продаю участок под строительство, 9,2 га Бишкек.

Договорная
Продаю
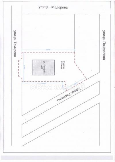
Продается под строительство земельный участок 9,2 сотки с домом, район Панфилова-Горького, можно под бизнес с выходом на ул. Панфилова. Имеется газ, водопровод, канализация. Цена 150 000 $.
Бишкек
Опубликовано: 11.06.2021 19:49
Обновлено: 14.06.2021 11:00